La connaissance de l’olivier

bel olivier vert du pays de fayence oleiculteur oleiculture olive française

Zone géographique d'implantation

Symbole de longévité, de puissance, source d’énergie, de santé, de beauté, de lumière et symbole de paix, l’olivier est cultivé depuis l’Antiquité sur le pourtour de la Méditerranée pour son huile merveilleuse riche en arômes.

brance d'arbre d'olivier avec des olive de france du pays de fayence

En Espagne et en France on trouve des traces de l’olivier sauvage, l’oléastre, datant de la fin de la dernière glaciation, 1700 ans avant notre ère quand le climat lui est devenu favorable.
En revanche l’olivier cultivé viendra chez nous bien plus tard. Il arrive d’Asie Mineure. Ce sont les populations sémites et les Égyptiens qui l’ont introduit dans l’est du bassin méditerranéen, dans une zone comprise entre Israël, La Palestine, le Liban, la Syrie, Chypre et la Crète, en améliorant sans cesse les qualités des fruits de son ancêtre sauvage, l’oléastre.

Il faudra attendre le XIXème siècle pour que la culture de l’olivier s’étende à tous les continents.

LE VERGER OLéICOLE MONDIAL

L’olivier est présent sur cinq continents : l’Europe, les Amériques (nord et sud), l’Afrique, l’Asie et l’Océanie.

Toutefois, c’est dans le pourtour méditerranéen que l’on retrouve plus de 90 % des oliviers.

Les principaux vergers d’oliviers se situent donc en Espagne, en Tunisie, en Italie, en Turquie, en Grèce, au Maroc, en Syrie et au Portugal.
Pourquoi l’olivier est-il principalement implanté en Méditerranée ? Pour produire, l’olivier a besoin de chaleur, de soleil, d’une pluviométrie moyenne, …. bref d’un climat de type méditerranéen.

On compte au total plus de 1,4 milliard d’oliviers et près de 2 000 variétés cultivées dans le monde. 70 % de la production mondiale d’huile d’olive est assurée par l’Union européenne avec une forte production en Espagne et en Italie.
En France, les oliviers poussent dans la partie méridionale du quart Sud-Est. On en compte environ 5 millions, avec une centaine de variétés plantées sur près de 50000 hectares. Le pays de Fayence sur ce point est l’une des régions les plus riches, puisqu’on y compte plus de 30 variétés.

brance d'arbre d'olivier avec des olive de france du pays de fayence
demi olivier olive arbre culture oleiculture

Nous n’avons pas d’études spécifiques portant sur l’introduction de la culture de l’olivier en pays de Fayence. Bien que les gels successifs aient tué les vieux spécimens, dans certains cas on peut retrouver une série de troncs arasés, reliques de ces arbres qui ont successivement repoussé à partir de la même souche et ce jusqu’aux arbres encore vivants actuellement. Nombreux sont ceux ayant encore repoussé après 1956, année du grand gel séculaire.

Des études sur ces vieux troncs arasés permettent une datation comprise entre 1324 et 1447. Cela confirme bien l’immortalité de l’olivier capable de se régénérer à partir d’une souche .
Sur notre territoire il est donc assuré que certains arbres sont les descendants directs de leurs ancêtres du 14ème siècle. C’est à partir des XVIIe et du XVIIIe siècle que cette culture se développe dynamisant l’économie du pays de Fayence comme en témoignent la richesse de l’église de Callian et les splendides retables en bois doré de l’église de Mons, par exemple.

Sur notre pays de Fayence on estime à plus de 2000 le nombre d’oliviers .

CARTE DU VERGER MEDITERRANEEN

production et organisation commerciale de l'huile d'olive dans le bassin europeen

L'OLIVE : une richesse

Dans l’Antiquité et au Moyen-âge, l’huile d’olive était déjà utilisée à la fois comme aliment, mais aussi pour l’éclairage, les soins du corps et la médecine.

Aujourd’hui elle est encore utilisée en cosmétique où elle permet de réguler l’hydratation et la souplesse de la peau (antioxydants), en huile de massage ou encore transformée en savon de Marseille.
Les diverses religions utilisent l’huile d’olive pour leurs sacrements ou pour sa valeur symbolique.

Mais c’est surtout pour ses qualités gustatives qu’elle est utilisée en cuisine. La consommation française annuelle a très fortement augmenté sur les 40 dernières années passant de 20 000 tonnes consommées en 1980 à 110 000 tonnes en moyennes en 2023. La production nationale, avec en moyenne 5 000 tonnes par an, est très loin de suffire aux besoins de consommation en France.

L’olive peut être consommée sous différentes formes, entières en saumure, en tapenade, concassées et bien sûr en huile. On utilise même les feuilles d’olivier en infusion. Vertes ou noires, les olives sont issues du même arbre, la différence de couleur venant juste de la maturité du fruit.
Le bois d’olivier est, en outre, très prisé des ébenistes.

olives vertes
bouteille d'huile d'olive du pays de fayence naturelle et organique

Il s’agit donc d’une véritable richesse économique tant directe – huile, bois, olives, utilisation en pharmacie, parfumerie et cosmétique – qu’indirecte par la biodiversité du paysage,  et tous les symboles culturels qui y sont associés. En pays de Fayence la culture de l’olivier fait réellement partie du patrimoine culturel au même titre que les chapelles, les longères, les ponts romains et les châteaux.

En France, huit huiles d’olives ont été reconnues en Appellation d’Origine Protégée (A.O.P) : Nyons, Vallée des Baux de Provence, Aix-en-Provence, Haute Provence, Nice, Nîmes, Corse et Provence. Une autre est en cours de reconnaissance, l’AOP : huile d’olive du Languedoc. Six olives de table ont également obtenu l’appellation : olives noires de Nyons, olives noires et olives vertes cassées de la Vallée des Baux de Provence, olives de Nice, olives de Nîmes et Lucques du Languedoc, ainsi que la pâte d’olive de Nice.

LE CYCLE Végétatif de L'OLIVIER

L’olivier est un arbre à feuilles persistantes dont la silhouette noueuse évoque le soleil, la chaleur et le chant des cigales ; son feuillage gris vert persistant en fait toute l’année l’un des plus beaux arbres de la Méditerrannée.

Chaque année, la croissance de l’olive suit les mêmes étapes. D’abord, à la fin du printemps, une floraison fugace produit des grappes de fleurs qui s’étendent sur les rameaux de l’année précédente. Après la fécondation de la fleur, les fruits se forment lors de la nouaison. Environ 5 % des fleurs se transforment en fruit. La pollinisation n’est pas faite par les insectes, mais par le vent. L’été est une période d’arrêt végétatif. Enfin, au mois de septembre, la couleur de l’olive commence à changer (véraison) et le fruit débute sa maturation. L’olive arrive généralement à maturité au mois de novembre ou de décembre. Après la récolte commence une période de repos pour l’arbre .

schéma reproduction végétatif

FLORAISON

La floraison est le stade culminant de l’olivier qui étant une plante de reproduction sexuée est pleine de vitalité pour être fécondé à la mi-mai.

Cette étape ne dure pas plus de trois semaines.

floraison de début d'été de l'olivier

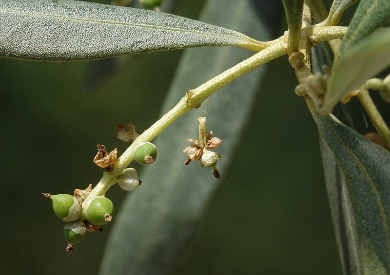
NOUAISON

nouaison de l'olive olivier

À ce stade, les pétales tombent des fleurs fécondées. L’olivier passe les fruits au crible, se débarrasse de ceux qu’il ne peut pas nourrir et n’en garde qu’une partie. Avant la fin de l’été le fruit atteint l’adolescence avec le durcissement du noyau. À ce stade, l’olivier, en fonction de ses réserves d’eau, va faire grossir le fruit qui, après l’été, continuera à mûrir jusqu’au moment de la récolte. Il est alors  important de surveiller tout particulièrement les fruits pour détecter les éventuels parasites qui pourraient les affecter (le ver de la mouche de l’olivier). Il faudra aussi approvisionner l’arbre en eau si possible et surtout éviter les travaux intensifs sur le terrain.

véRAISON

L’été, avec ses températures élevées, oblige l’olivier à économiser l’eau et les nutriments. C’est pourquoi les oliviers ne sont actifs qu’aux premières et dernières heures de la journée, ce qui permet de conserver les fruits d’une couleur vert intense.

Après l’été vient l’époque connue sous le nom de véraison, étape caractérisée par le changement de couleur du fruit. L’olive passe du vert intense au jaunâtre, puis au grenat et enfin, selon les variétés, au noir qui indique la fin du processus.

Selon la région, pour des raisons climatiques ou selon le type d’olivier, la véraison peut commencer au mois de septembre ou être retardée jusqu’en octobre ou novembre.

veraison-olive-olivier

MATURATION

L’olive est prête à être récoltée et donnera à l’oléiculteur l’huile qu’elle a produit.  Certains ont tendance à penser qu’après la véraison, plus la récolte est tardive plus elle sera riche en huile cette théorie est inexacte, car une fois l’étape de maturation terminée l’huile contenue dans l’olive n’augmentera pas en quantité. Seule la teneur en eau diminuera.

nouaison de l'olive olivier

Par contre, avec le temps, elle se transformera pour aller d’une saveur plus acre à une saveur de plus en plus douce.

Le temps de la récolte s’étend d’octobre à décembre, voire même jusqu’à fin janvier. Tout dépend de ce que l’oléiculteur souhaite. Soit des olives très mûres, donc généralement bien noires, qui sont, pour certaines variétés, plus faciles à détacher de l’arbre et dont l’huile sera plus douce. Soit, comme les experts le recommandent, commencer la récolte le plus tôt possible et l’huile sera alors très gouteuse, voire même astringente. Cela permettra d’éviter l’oxydation qui peut entraîner une perte de qualité.

REPOS

Après la récolte, nous arrivons à l’arrêt hivernal et la plante se repose. L’olivier se reposera jusqu’à ce qu’un nouveau cycle commence au printemps, lorsque les températures s’amélioreront.

C’est la période pour retourner la terre. Après les gelées on taillera les oliviers.

POUR ÉCHANGER AVEC NOUS

Souscrire à notre newsletter